El Gobierno de Estados Unidos ha ofrecido este jueves el envío de ayuda humanitaria a Cuba para ayudar a la isla a superar los estragos causados por el huracán Melissa, en un gesto que contrasta con el embargo económico que Washington mantiene desde hace ... más de medio siglo y que este miércoles recibió un año más el repudio de la Asamblea General de la ONU.
La Administración de Donald Trump ha anunciado en los últimos días varias medidas para ayudar a los países afectados, entre los que el secretario de Estado, Marco Rubio, ha incluido ahora a Cuba. «Estamos preparados para ofrecer ayuda humanitaria inmediata a la población de Cuba afectada por el huracán», ha dicho en su cuenta de la red social X, sin entrar en más detalles.
Trump ha descartado cualquier acercamiento hacia el Gobierno de Miguel Díaz-Canel, sobre el que sigue aplicando una política de mano dura con vistas a aumentar la presión política. Las autoridades cubanas, por su parte, buscan respaldo en foros internacionales como la ONU a sus reiterados llamamientos para terminar con el «bloqueo» norteamericano.
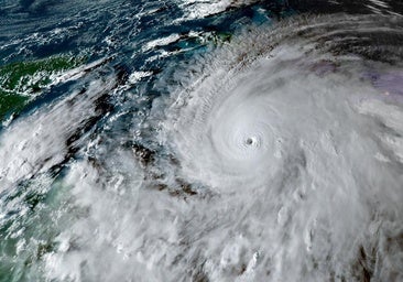
El huracán Melissa, que ha dejado más de una treintena de muertos en el Caribe, tocó tierra el miércoles en Cuba, donde provocó «cuantiosos» daños, como reconoció el presidente. El Gobierno no tiene constancia sin embargo de ninguna víctima mortal en territorio cubano.
Esta funcionalidad es sólo para registrados
Iniciar sesiónEsta funcionalidad es sólo para suscriptores
Suscribete