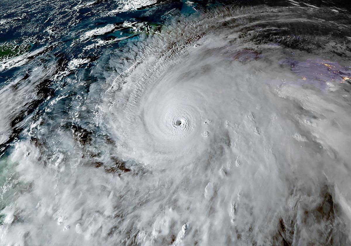
Detectan miles de pájaros volando en círculos dentro del ojo del huracán 'Melissa'
Las ha percibido un avión cazador de huracanes de la agencia científica del Gobierno estadounidense dedicada a estudiar y predecir los cambios en el medio ambiente
El huracán Melissa toca tierra en Jamaica con vientos de 300 km/h, el más violento registrado en el Atlántico
Esta funcionalidad es sólo para registrados
Iniciar sesiónMigraban en busca de un clima más apacible para pasar el invierno cuando miles de aves se han visto atrapadas en el ojo del huracán 'Melissa', inconscientes de la amenaza que suponía el fenómeno meteorológico que las transportaba. En medio de una calma aparente, ... los animales han quedado rodeados por un muro de vientos furiosos, incapaces de escapar.
Un avión cazador de huracanes de la agencia científica del Gobierno estadounidense dedicada a estudiar y predecir los cambios en el medio ambiente (NOAA) ha detectado en las últimas horas este fenómeno tan inusual como perturbador. El aparato mostraba miles de pájaros volando en círculos, mientras 'Melissa' viajaba inexorablemente hacia Jamaica con una potencia desmedida.
Melissa, el peor huracán registrado en el Atlántico, toca tierra en Jamaica
Javier AnsorenaEl impacto podría afectar a 1,5 millones de personas en Jamaica, según Cruz Roja
El meteorólogo Matthew Cappucci compartió las imágenes en la red social X, acompañado de un texto explicativo: «Decenas de miles de pájaros tropicales han sido absorbidos por el ojo, incapaces de luchar contra los fuertes vientos internos. La mayoría de estas aves quedan atrapadas y a veces no pueden escapar hasta que la tormenta amaina, a menos que encuentren una isla y puedan refugiarse en tierra».
BREAKING: The Hurricane Hunters have found BIRDS in Melissa's eye.
— Matthew Cappucci (@MatthewCappucci) October 27, 2025
Tens of thousands have likely been sucked into the eye, unable to fight against the strong inward winds.
Most of these bird are trapped. Sometimes they can’t escape until the storm weakens, unless they encounter… pic.twitter.com/lCxCAhZaWG
«En mar abierto, las aves no tienen dónde posarse. Algunas caen del cielo y mueren de agotamiento. Los barcos que navegan por el ojo de una tormenta suelen ser atacados por cientos de pájaros. Al fin y al cabo, no encuentran otro lugar donde descansar y les sirve de plataforma donde recuperarse brevemente», ha añadido.
No se trata de un fenómeno aislado, tal y como relata Cappucci, que dice haber presenciado bandadas de pájaros desorientados en el ojo del huracán 'Ian' en 2022 y lo mismo vio en el caso de 'Idalia' en 2023.
Esta funcionalidad es sólo para suscriptores
Suscribete
Esta funcionalidad es sólo para registrados
Iniciar sesiónEsta funcionalidad es sólo para suscriptores
Suscribete